카페검색 본문
카페글 본문
-
태풍 씨앗 '열대저압부' 발생..제주 남부 해상 지날 듯 2025.07.12해당카페글 미리보기
출처 : https://v.daum.net/v/20250712183918793 태풍 씨앗 '열대저압부' 발생..제주 남부 해상 지날 듯 제주에 폭염 특보가 해제된 가운데 이례적으로 중국 상하이 해상에서 열대저압부가 발생해 향후 진로에 관심이 모아지고 있습니다. 제주지방기상청에...
-
불멸의 씨앗 2025.12.04해당카페글 미리보기
불멸의 씨앗 최 명운 태풍, 토네이도, 쓰나미가 쓸어가는 것은 약한 것 일부분일 뿐 전부를 앗아갈 수는 없습니다 삶의 자리가 파괴되면 우리는 그곳에 내진설계 하여 더 견고한 집을 다시 짓습니다 한순간 시련을 극복하고 유연하게 마음을 바로잡습니다...
-
[2025년 3.4호 태풍 미국(GFS),유럽(ECMWF)전망] 2025.06.30해당카페글 미리보기
발생하는 3호 태풍은 '문'이된다. 최근 기상 당국은 6월 말경 필리핀 동쪽 해상과 대만 인근 해상에서 태풍의 씨앗인 열대요란이 포착됐다며 3호 태풍 '문'이 발생할 가능성을 예측했다. 하지만 시시각각 변하는 기상상황으로 태풍이 생긴다면 7월의 첫...
-
태풍 '마리아' 새로운 태풍의 씨앗 열대 요란 발생(일본 40도 한국 36도 폭염 주간) 2024.07.30해당카페글 미리보기
태풍 '마리아' 새로운 태풍의 씨앗 열대 요란 발생(일본 40도 한국 36도 폭염 주간)
-
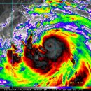
[영상] 추석 당일 13호 태풍 버빙카 한반도 관통? '고기압 약화 흐름이 변수' 2024.09.09해당카페글 미리보기
JTWC, Joint Typhoon Warning Center) 감시 94W(노란 원)·95W(갈색 원) 열대요란, 11호 태풍 야기(왼쪽 아래), 12호 태풍 리피(오른쪽 위) ▶이런 즈음 '태풍의 씨앗' 열대요란이 잇따라 한반도 남쪽 먼 태평양 바다에 나타났다. 현재 94W 열대요란이...
-
찻잔 속의 태풍 2024.07.20해당카페글 미리보기
그많은 시간도 자그마한 찻잔의 태풍앞에 아무런 기력도 저항도 없다 아니 저항할 능력을 잃었다 찻잔은 태풍의 존재 조차 인지하지 못하고 사나 보다 언제 어디서 어떻게... 불어오고 소용돌이 칠지 아무도 모르고 살아간다 태풍의 씨앗이 태동할때까지...
-
신품종 슈퍼도라지 - 씨앗 채취 시기 2025.09.11해당카페글 미리보기
도라지 씨앗 채취 시기가 다되간다. 슈퍼도라지는 4~5년씩 가꿔야 하는 일바 도라지와는 달리 2년이면 대물로 출하하는 신품종...없기 때문이다. 9월 중순이 넘어서면 언제 출하해도 관계는 없지만 (씨방이 커지기 시자하면 뿌리 성장이 멈춰 )가을 태풍...
-
가을에 뿌리는행복의 씨앗 2025.10.22해당카페글 미리보기
알몸으로 서서 살아가기 위해서 애써야 하는 세월이 왔습니다 태풍도 불고 폭우도 와서 힘들었던 세월이 더 길었습니다 하지만...가을 준비를 하는 열매도 열리고 어떤 열매가 열릴까요? 어떤 씨앗을 뿌렸나v더듬어 봅니다 사랑을 뿌렸을까? 희망을...
-
태풍이 온다 2024.03.23해당카페글 미리보기
무더위에 지쳐가는 여름의 끝자락에 태풍이 온다 태풍은 거센 바람으로 바다를 뒤집어 자연의 질서를 바로잡는다 태풍의 씨앗, 돌풍이 분다 복수의 두려움에 떨던 분노한 국민들이 하나 둘 떨쳐 일어섰다 동학혁명이 그러하였고 3.1 독립운동이 그러하였다...
-
생태환경사목 서한, 녹색 순교로 심는 평화의 씨앗 2025.08.28해당카페글 미리보기
강력한 태풍 등 감당하기 어려운 기후 재난이 이어지고 있습니다. 올해 우리나라만 해도 큰 산불과 극한 호우 등 무서운 재난으로 많은 희생자가 발생했습니다. 마치 자연이 인간을 폭력적 기후 재난으로 응징하려는 것처럼 보이기도 합니다. 이러한 기후...